
Lab + Grid, version 2, 2026
HALSEY STREET:
NODES + RHYTHMS + RHIZOMES
This project maps the nodes of Halsey Street, with each location as a rhizome of meaning, texture, and horizontal significance. Centerless, the rhizomes deterritorialize, seek their desires, spread and connect. They flee the Grid and its reifications. Natives of the mazeway, their stories are affective, sonic, and sensory.
CHEAP, TAWDRY, FLY-BY-NIGHT
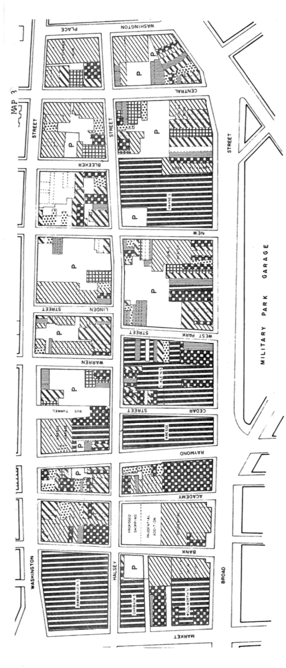
In 1963, Newark’s Division of City Planning eyed Halsey Street as the ideal location for an outdoor commercial promenade, conceived by none other than Victor Gruen, father of the indoor shopping mall. To accomplish this consumer paradise, the city’s urban planners determined to remove ‘the cheap, the tawdry and the fly-by-night establishments’ that, established though they were, seemed intruders in the idealized streetscape of ‘quality shops’ and department stores.
Grid sought to tame Labyrinth, and Legibility to clear Mazeway
Halsey Streetscape Map![]()
In 1963, Newark’s Division of City Planning eyed Halsey Street as the ideal location for an outdoor commercial promenade, conceived by none other than Victor Gruen, father of the indoor shopping mall. To accomplish this consumer paradise, the city’s urban planners determined to remove ‘the cheap, the tawdry and the fly-by-night establishments’ that, established though they were, seemed intruders in the idealized streetscape of ‘quality shops’ and department stores.
Grid sought to tame Labyrinth, and Legibility to clear Mazeway
Halsey Streetscape Map


Lab + Grid, version 1, 2023